|
Property Type:
Land
Status:
Active
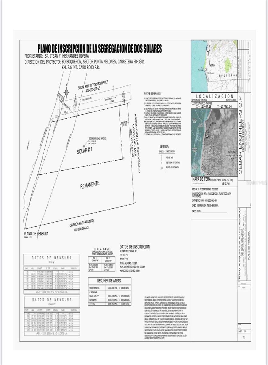
Excellent strategically located beachfront lot with residential/tourist zoning. Ideal for developing tourism projects with direct beach access and stunning ocean views. It features a private entrance. The lot measures 2,339 square meters and has all necessary permits from the Natural Resources Department (REA/DEA) and the Maritime-Terrestrial Zone. Just minutes from the town of Boquerón, restaurants, hotels, and steps from the new Esencia Luxury Residential project. Take advantage of this unique opportunity to invest and develop an impressive project with a private beach. Excellent priced below appraisal.
Address:
PR 3301 KM 2.6 INT PUNTA MELONES, BOQUERON Cabo Rojo, Puerto Rico 00623
Additional DetailsArea and LotLot Size in Acres 0.57 Utilities Other FinancialAnnual Tax $0 HOA Fees $0 Location
Luis Munoz Marin International Airport
Airport Rd, Carolina, 00979
?
Take Marginal Aeropuerto to Airport Rd
2 min (1.0 km)
?
Follow PR-52 and Carr Puerto Rico 2 O/PR-2 W to PR-116 in Guánica. Exit from Carr Puerto Rico 2 O/PR-2 W
1 hr 40 min (151 km)
?
Continue on PR-116 to your destination in Cabo Rojo
44 min (43.2 km)
Playa Rosas
XQQP+RH, El Combate, Cabo Rojo 00622
Lat: 17.989511 Long:-67.213271
Interested in this property? Get in touch
Sugey Martinez
License:
#C-15704
Calle 6 A-7
Urb Ocean View
Arecibo Puerto Rico, 00612
Phone:
787-413-5088
Office:
787-413-5088
Newly Added on Same AreaActive
SR 307 km 7.9 VILLA NAUTICA, UNION ST, JOSE ST #Lot # 2 Cabo Rojo, PR
$1,075,000
4 Beds
3 Bath
5166 SQFT
Recently Sold on Same AreaClosed
SR-312 km 5.3 int LLANOS TUNA WARD CAMINO ASENCIO Cabo Rojo, PR
$159,900
4 Beds
2 Bath
11530 SQFT
Closed
SR 307 KM 3.5 INT CONDOMINIO BAHIA REAL AT VILLA LA MELA BEACH #204 A Cabo Rojo, PR
$900
2 Beds
2 Bath
1180 SQFT
|