18 CALLE 16 Vieques, Puerto Rico

Property Type: Land
Status: Active
3.4
Acres
$250,000
Sale
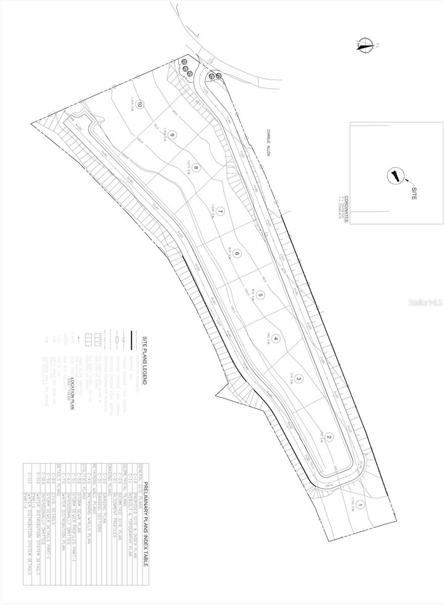
Located in the heights of the quiet, mid-island neighborhood of Los Chivos, this 3.4-acre lot offers elevated ocean views along with an exceptional sense of space and privacy. The property presents strong development potential. Its topography and scale support flexible design options, from a luxury private residence to a cohesive residential community, with many lots positioned to capture both sunrise and sunset views. An approved segregation plan allows for division into 10 parcels, making it especially attractive for investors to efficiently execute a development vision. This is an ideal opportunity in a market with high demand for view-oriented and accessible properties. Centrally located, the property offers convenient access to Isabel II for everyday essentials, as well as the island’s most sought-after destinations—including pristine Caribbean beaches, the world-renowned bioluminescent bay, and Esperanza’s established dining and tourism corridor—enhancing its appeal for full-time residents, vacation homeowners, and short-term rental markets. Whether you are looking to build a private retreat or pursue a strategic development opportunity in one of Vieques’ most desirable areas, the combination of scale, views, and privacy undoubtedly makes this property a captivating option.
Address: 18 CALLE 16 Vieques, Puerto Rico 00765

Additional Details

Area and Lot

Lot Size in Acres
3.4
Utilities
Electrical Nearby, Water Nearby

Financial

Annual Tax
$0
HOA Fees
$0

Location

Drive south on Calle 16, in 1.5KM the lot is to the left.

Interested in this property? Get in touch

Ignacio Pla Lopez De Murillas

License: #21080
HC 2 Box 14904
Vieques Puerto Rico, 00765

Newly Added on Same Area

Active
5 BEACH VILLAGE Vieques, PR
$3,250,000
2 Beds
2.1 Bath
12097 SQFT
Active
645 CASA RINCON Vieques, PR
$425,000
3 Beds
1 Bath
6265 SQFT
Active
195 CALLE ALMENDRO Vieques, PR
$395,000
3 Beds
2 Bath
10377 SQFT
Active
16 CALLE SANTA ROSA Vieques, PR
$199,000
1 Beds
1 Bath
1635 SQFT
Active
214 VILLA BORINQUEN Vieques, PR
$75,000
4268 SQFT
Active
Bo Florida SOLAR 4 Vieques, PR
$240,000
43317 SQFT

Recently Sold on Same Area

Closed
178 CALLE BARKALOT Vieques, PR
$95,000
28676 SQFT
Closed
545 CALLE GARCÍA Vieques, PR
$395,000
2 Beds
1 Bath
7395 SQFT
Closed
69 CALLE DON LUTE Vieques, PR
$358,000
2 Beds
2.1 Bath
19105 SQFT
Closed
387 BROMELIAS ST Vieques, PR
$400,000
4 Beds
2 Bath
3485 SQFT
Closed
4E CALLE M. GARCIA Vieques, PR
$285,000
2 Beds
1 Bath
3234 SQFT
Closed
260 CALLE PINOS Vieques, PR
$130,000
3 Beds
1 Bath
6562 SQFT
Resources
>